Świeże karpie i białe ryby ze Sławy można kupować już codziennie.
Od poniedziałku w Gospodarstwie Rybackim Sława codziennie można nabyć świeże karpie oraz inne ryby z lokalnej hodowli. Sprzedaż będzie prowadzona do Świąt Bożego Narodzenia od poniedziałku do piątku w godzinach 10:00 -15:00, a w soboty od 09:00 do 14:00.
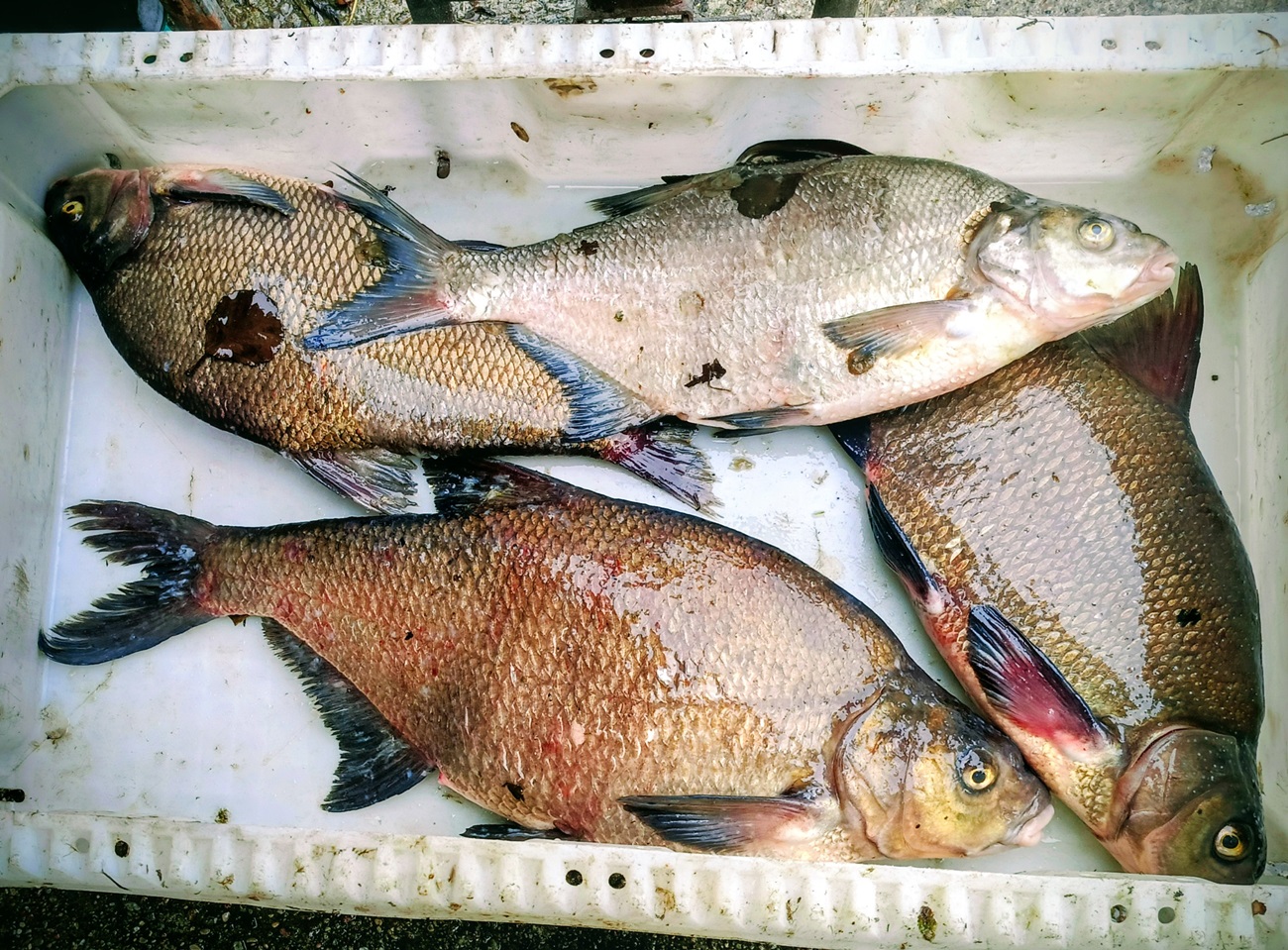
Prosto z jeziora dostępne są: płocie, leszcze, sumy, dorodne tołpygi, okazałe szczupaki, piękne okonie oraz pozostałe białe ryby.
Ceny pozostają takie same jak w ubiegłym roku - w tym karp w cenie 30 zł/kg. Na zakupy należy zabrać własny pojemnik lub torbę.
Fed kd





Duża awaria sieci ciepłowniczej w Głogowie
To już nawet śmieszne nie jest
Kaska
10:28, 2025-12-01
Duża awaria sieci ciepłowniczej w Głogowie
Pozew przeciwko wodociągowi można złożyć, gdy występują problemy, takie jak zła jakość wody, awarie (np. pęknięcie rury) lub spory dotyczące przyłączy. W takim przypadku najpierw zaleca się złożenie skargi lub reklamacji do przedsiębiorstwa wodno-kanalizacyjnego. Jeśli to nie przyniesie skutku, można rozważyć złożenie pozwu do sądu, ale wcześniej warto skonsultować się z prawnikiem,i zadac odszkodowania.
Najwyzszy
09:47, 2025-12-01
Duża awaria sieci ciepłowniczej w Głogowie
Może jakoś numerujcie te awarie, bo dzień po dniu coś się dzieje i już nie wiem czy to nowa, czy jeszcze z wczoraj.
122
09:37, 2025-12-01
Zdrowe brzuszki naszych dzieci
SKORO TEN CYRK JEST CYRKIEM SWIATOWYM TO MOZE PRZENIESMY TE BALETY DO BUDAPESZTU NAD JEZIORO BALATON TO PRZYNIESIE ZASZCZYT NIE TYLKO JURECZKOWI ALE I RZADOWI
JEZIORO
08:11, 2025-12-01
Brak komentarza, Twój może być pierwszy.
Dodaj komentarz